Туламбен. Coral garden.

Если отойти 300 метров от корабля вправо, то напротив строения с высоким молом будет еще один дайв-сайт Coral garden (Коралловый сад).

Пляж возле него отсутствует, видимо, его подмыло. Так что мол стоит в воде, а вещи мы оставили немного левее под деревьями.
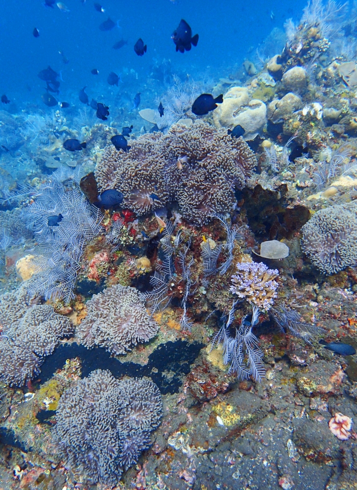
Тут есть и рыбки, и заявленные кораллы, растущие на черном вулканическом песке.



Нырять к ним надо на глубину метров 5–7, для фридайвинга идеально.


Рыба, прикидывающаяся половиной рыбы.


Рыба-белый единорог:

Мне очень нравилась эта группа в полосатых купальниках. Она паслась неподалеку и я ее много снимала.


Подводные снимки в Туламбене стали поприличнее получаться. Сперва на Нуса Пениде они были откровенно плохие, я грешила на фотик. А оказалось, танцор был плохой, неопытный...

Близко к рыбе надо подплывать и не дергаться, это во-первых.
Ждать солнечной погоды, иначе красок не будет – это во-вторых.
Вспышку не включать (а принудительно отключать каждый раз!), иначе все будет в крапинку — это в-третьих.
Ну и глубже восьми метров краски в любом случае блекнут.


Даже не знаю, животное это, растение или что-то среднее.



И это тоже неведомая штука.


Рыбки прячутся в мягких кораллах, составляя с ними симбиоз.


Как только солнце опустилось ниже и подсветка ухудшилась, мы закончили нырять. Гермо-рюкзак в роли буя со временем начинает протекать, конечно. Но это лучше, чем ничего. По возвращении в Москву мы просто купили специальный буй для подобных развлечений. Он и правда нужен, потому что на поверхности надо отдышаться перед заныром.
Так прошел этот насыщенный день. Очень рекомендую остановиться в Туламбене именно на день, чтобы никуда не спешить и все успеть посмотреть. Наша логистика — полный день и две ночевки — была, на мой взгляд, идеальной для этого места.
На рассвете следующего дня Ран фотографировал окрестную красоту.

Агунг:


Остров Ломбок и его большой вулкан:


А дальше была дорога домой: мы собрались, потихоньку доехали до Денпасара. Обедали по дороге в ближайшем супермаркете Пепито, там большой отдел готовой горячей еды и столики. В аэропорту специальный человек нашел нас на парковке и забрал машину.
Аэропорт Денпасара поразил меня гуманностью: там есть специальный тихий зал с раздевалками, столами, ячейками под рюкзаки. То есть ты приехал в аэропорт, переоделся нормально, поел свою еду за столиком, зарядил гаджеты, а потом можешь спокойно регистрироваться и улетать. Не Европа в хорошем смысле этой фразы.